رغم قوة العاصفة.. منظر مذهل داخل إعصار ميليسا العنيف l فيديو
 
                            أظهر مقطع فيديو صوره صائدو الأعاصير من الجناح 403 التابع لاحتياطي القوات الجوية، منظر مذهل داخل إعصار ميليسا أثناء تحركه ببطء نحو جامايكا يوم الأحد.
صائدو الأعصاير
يعمل صائدو الأعاصير مع الإدارة الوطنية للمحيطات والغلاف الجوي "لمساعدة خبراء الأرصاد الجوية على تقديم تنبؤات دقيقة أثناء الإعصار ومساعدة باحثي الأعاصير على تحقيق فهم أفضل لعمليات العاصفة"، وفقًا لموقعهم الرسمي على الإنترنت.
كتب جيريمي دي هارت، الذي نشر الفيديو وهو صياد أعاصير سابق، على موقع إكس: "من أحد أفراد طاقم مهمة تيل 74 أمس إلى إعصار ميليسا من الفئة الخامسة. كان واضحًا تمامًا كما سترون في حوض المحيط الأطلسي".
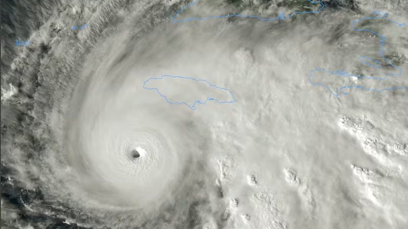
إعصار ميليسا يضرب جامايكا.. والحكومة ترد: لا شيء لدينا لنفعله
فرض إعصار ميليسا نفسه ليكون حديث العالم، حيث أنه الأقوى منذ 174 عامًا، والذي ضرب جزيرة جامايكا، إحدى البلاد الواقعة في البحر الكاريبي.
وقال خبراء الأرصاد الجوية إنه من المتوقع أن تصل العاصفة إلى اليابسة اليوم الثلاثاء، وتنتشر بشكل قطري عبر الجزيرة، وتدخل بالقرب من أبرشية سانت إليزابيث في الجنوب وتخرج حول أبرشية سانت آن في الشمال.

إعصار ميليسا
قبل ساعات من العاصفة، قالت الحكومة الجامايكية، إنها فعلت كل ما في وسعها للاستعداد حيث حذرت من أضرار كارثية، وأصدر المركز الوطني للأعاصير تحذيرًا مخيفًا جاء فيه: "رياح كارثية تتحرك نحو الساحل الجنوبي لجامايكا، الفرصة الأخيرة لحماية حياتك"، وأضافوا أن الفشل في توفير المأوى المناسب قد يؤدي إلى "إصابات خطيرة" أو خسارة في الأرواح.
وحذر رئيس وزراء جامايكا أندرو هولنس: "لا توجد بنية تحتية في المنطقة يمكنها الصمود في وجه زلزال من الفئة الخامسة، السؤال الآن هو سرعة التعافي. هذا هو التحدي"، وحذر المركز الوطني الأمريكي للأعاصير من أن أجزاء من البلاد من المتوقع أن تتعرض لأمطار غزيرة يصل منسوبها إلى 40 بوصة، بالإضافة إلى "عاصفة تهدد الحياة".
تداعيات الإعصار الأقوى منذ 174 عامًا
بعد أن بلغت سرعة الرياح فيها 175 ميلا في الساعة، أصبح ميليسا أقوى عاصفة في العالم هذا العام، والأسوأ التي شهدتها جامايكا على الإطلاق منذ بدء تسجيل البيانات قبل 174 عامًا، وتم الإبلاغ عن انهيارات أرضية وسقوط أشجار وانقطاعات عديدة للتيار الكهربائي قبل العاصفة، مما أدى بالفعل إلى عزل المجتمعات الضعيفة.
ومن المتوقع أيضًا أن تضرب عاصفة مدية تهدد الحياة يصل ارتفاعها إلى 13 قدمًا جنوب الجزيرة، وقد صدرت أوامر إخلاء إلزامية لبعض المناطق الساحلية في جامايكا، في حين تم نقل بعض المرضى في المستشفيات من الطابق الأرضي إلى الطابق الثاني.

موسم الأعاصير الأطلسية
من المتوقع أن تتشكل ثلاثة أعاصير من الفئة الخامسة في موسم الأعاصير الأطلسية لعام 2025، وهو أمر لم يحدث منذ 20 عامًا، بعد أن انضم إعصار ميليسا إلى إعصار هومبرتو وإيرين في عام 2025، بعد أن أصبح إعصار ميليسا أحدث عاصفة تنضم إلى نادي الفئة الخامسة أثناء وجوده جنوب جامايكا.
ويمتد موسم أعاصير المحيط الأطلسي من 1 يونيو إلى 30 نوفمبر، وتُصنف العواصف وفقًا لمقياس سافير-سيمبسون لرياح الأعاصير، ويصنف هذا النظام، المؤلف من خمس درجات، الأعاصير حسب سرعة الرياح المستمرة، ويُقدر الأضرار المحتملة، بدءًا من أضرار طفيفة في الأسقف ووصولًا إلى انهيار هيكلي كامل.
الأعاصير من الفئة الخامسة
الأعاصير من الفئة الخامسة، وهي الأشد، تجلب رياحًا لا تقل سرعتها عن 157 ميلًا في الساعة، ويمكنها أن تجعل مناطق بأكملها غير صالحة للسكن لأسابيع، ومن الأمثلة على ذلك إعصار أندرو (1992)، وإيرما (2017)، وكاميل (1969).
ولا تزال الفئات الأدنى تُشكل تهديدات خطيرة، حيث يمكن أن تسبب العواصف من الفئة الثالثة أضرارًا خطيرة في الأسقف وانقطاعات متكررة للكهرباء، بينما يمكن أن تسبب العواصف من الفئة الأولى، مثل ساندي (2012)، فيضانات مدمرة وعواصف عاتية.
 
                



 
                            
                            
                            
                            
                           